Entregador resgata cão atropelado e pede ajuda para cirurgia
José Carlos da Silva Coimbra encontrou animal na porta de casa, em Aparecida; procedimento cirúrgico varia de R$ 1.800 a R$ 3 mil
Quando José Carlos da Silva Coimbra voltava para casa no setor Jardim dos Girassóis, em Aparecida, na tarde de domingo (8), ele se deparou com uma cena triste: um cachorro tinha sido atropelado – segundo vizinhos – e agonizava perto da residência dele. Ao perceber que o animal não se mexia da cintura para baixo, ele levou o cão ao veterinário, onde teve que desembolsar R$ 440 por uma consulta de plantão – que ele já pagou.
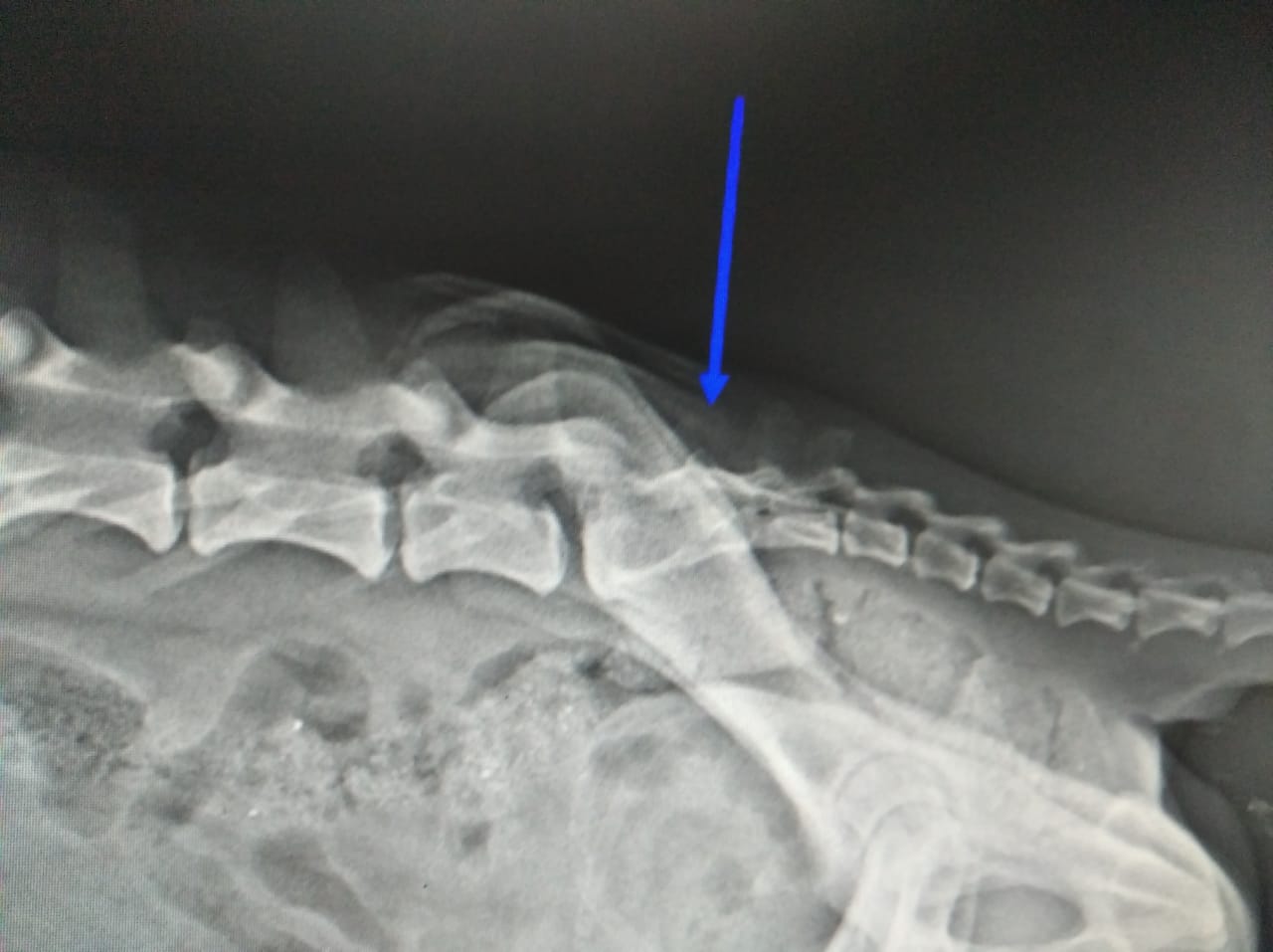
Apesar disso, a clínica deu hospedagem e medicamentos gratuitamente para o cachorro, que ainda está internado. Contudo, é necessário fazer um exame no valor de R$ 800 para verificar qual a real situação do animal e, ainda, uma cirurgia, que pode variar de R$ 1.800 a R$ 3 mil – se não for necessário colocar pino. Segundo informado pelos veterinários, é preciso realizar uma tomografia da coluna lombar, na região lombossacral – para verificar a suspeita de fratura na última vértebra lombar ou disjunção sacro ilíaca, quando pélvis desloca do lugar.
“Ele está com a coluna deslocada”, revelou Carlos, que não tem condição de arcar com o custo e, por isso, pede ajuda: interessados, podem procurar pelo animal na Clínica Pluto, na avenida Jamel Cecílio, em Goiânia. Ao Mais Goiás, Carlos contou que, ao ver o animal, que estava no sol, o levou para a sombra e deu água e alimento. Em seguida já foi com ele à clínica veterinária.
“Na hora me senti como ele fosse meu cachorro. Não teria como deixar ele daquela maneira”, revelou o entregador, que já tem três cadelas e pretende adotar o cão ferido, que a filha Nayara chamou de “João”. A expectativa de Carlos é também conseguir o suficiente para também castrar o animal, já que as outras três são fêmeas.

Exame e cirurgia
Os veterinários já sabem que precisam fazer a cirurgia. Porém, eles precisam fazer o exame para saber exatamente o problema do cão. De acordo com José Carlos, já foi feito um Raio-X, mas este só mostra o local danificado, não se houve rompimento dos ligamentos que auxiliam na mobilidade inferior do animal.
“Ele está com leves movimentos, mas não anda.” O entregador afirma, ainda, que João está com imunidade baixa, doença do carrapato e outros problemas. “Estão dando medicamentos para que ele fique forte para o exame e a cirurgia.”
José Carlos revela, também, que o exame já deve ser feito nesta sexta-feira (13). “Já conseguimos arrecadar para o exame”, celebra. De acordo com ele, quem quiser ajudar para a cirurgia basta dar procurar a clínica Pluto e dar o nome dele ou “Resgatado Coimbra”. “Aí eles já sabem qual é o caso”, conclui.